Описание
Комната конференции создается при добавлении первого участника.
Комната конференции уничтожается при удалении последнего участника (абонент положил трубку).
Использование
Вызов на IVR-скрипт ввода номера комнаты конференции
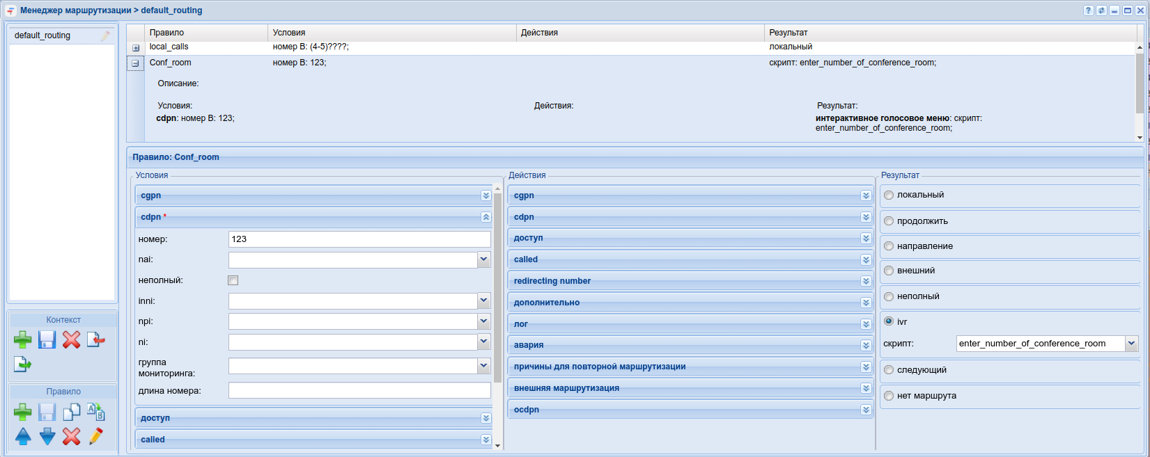
Добавление абонента в комнату конференции — это вызов абонента на IVR-скрипт ввода номера комнаты конференции enter_number_of_conference_room.
Для успешного вызова абонента настройте маршрутизацию на этот скрипт. Для примера — 123:
После входа вызова в IVR-скрипт введите номер (три цифры) комнаты конференции (будет проиграно сообщение, "Введите номер конференции" о необходимости ввода трех цифр номера конференции).
После ввода трех цифр вызов получает уведомление авто-информатора "Добро пожаловать в конференцию" и происходит подключение в комнату конференции с введенным номером.
Если будет введено иное количество цифр, то вызов отобьется после проигрывания сообщения о недействительном номере конференции.

