Описание

Услуга Комната конференции (Conference room) предназначена для организации конференц-связи до 16 участников в рамках заданной комнаты конференции.

Комната конференции создается при добавлении первого участника.
Комната конференции уничтожается при удалении последнего участника.
При нахождении единственного участника в конференции в течении тайм-аута single_subscriber_conference_timeout секунд (по умолчанию 60), конференция так же уничтожается.

Использование

Вызов на IVR-скрипт ввода номера комнаты конференции

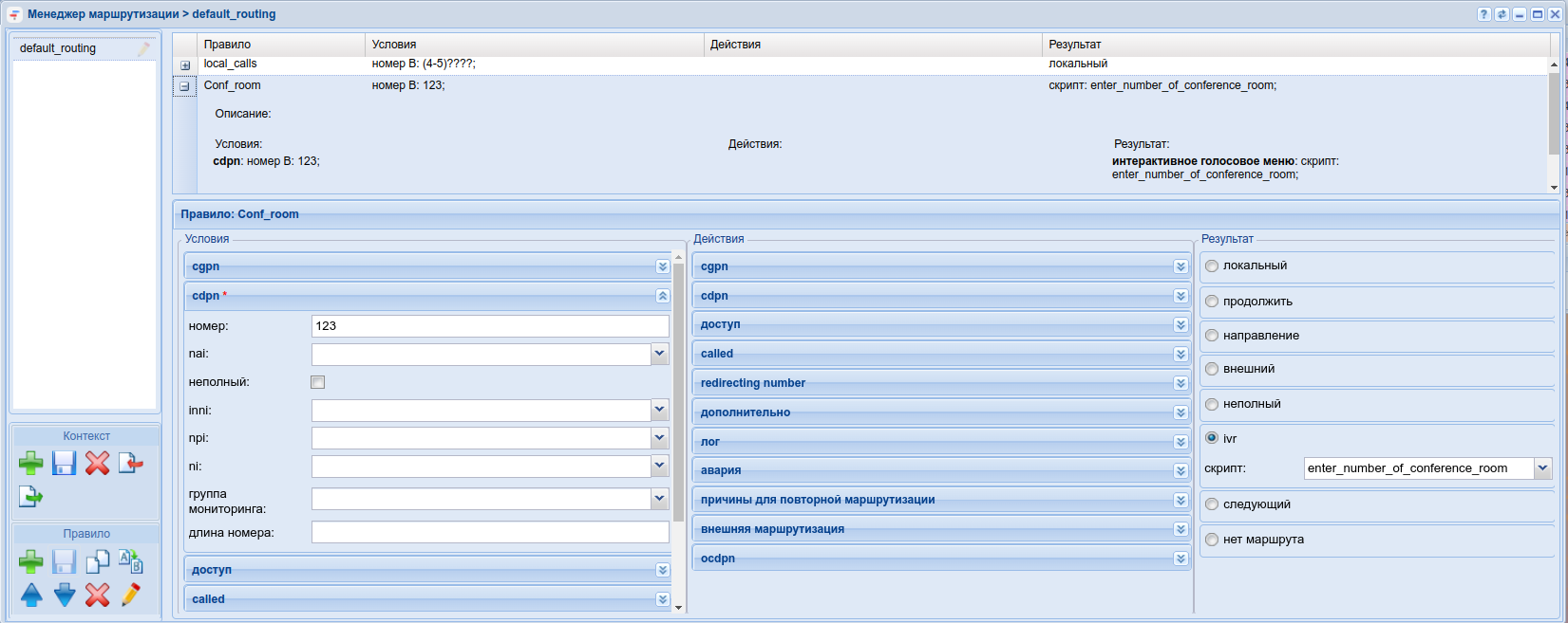
Добавление абонента в комнату конференции — это вызов абонента на IVR-скрипт ввода номера комнаты конференции enter_number_of_conference_room.


Чтобы вызов абонента проходил успешно, необходимо настроить маршрутизацию на этот скрипт. Для примера 123


После входа вызова в IVR-скрипт нужно будет ввести номер (3 цифры) комнаты конференции. (будет проиграно сообщение, "Введите номер конференции" о необходимости ввода 3 цифр номера конференции).
После ввода 3 цифр вызов получает уведомление авто-информатора → "Добро пожаловать в конференцию" подключается  в комнату конференции с введенным номером.
Если будет введено иное количество цифр, то вызов отобьется после проигрывания сообщения о недействительном номере конференции.


  • Нет меток